Ordnance Survey Planning Pack - 1:500 Scale Block Plan & 1:1250 Scale Location Plan

Available Formats via Email: PDF  •  TIFF  •  JPG  •  BMP  •  PNG  •  DOCX  •  WORD

OS Premium Partner  •  OS Licensed Product  •  Council Compliant  •  Dual Pack for Local Authority Planning Applications  •  No sign-up needed – checkout instantly

1
Step 1. Enter Address. Placename | OS Grid options too.
E.g. ORDNANCE SURVEY, 4, Adanac Drive
Select your address
Jump below map to Select Size

Planning Pack Contents

  • One 1:500 Block Plan
  • One 1:1250 Location Plan
  • Both centred on the same site
  • Black & White or Colour
  • PDF, TIFF, JPG, BMP, PNG, WORD
  • A5 to A0 size
  • Council Compliant
  • North Arrow & Scale Bar
Open 1:500 Sample PDF Open 1:1250 Sample PDF CAD Users: DWG | DXF Format

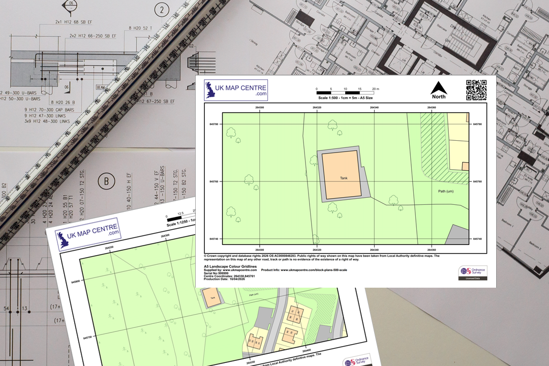
OS 1:500 Block Plan and 1:1250 Location Plan Combined Planning Pack

The OS Planning Pack bundles together the two Ordnance Survey extracts most often requested by UK local authorities for a planning submission: a 1:500 block plan and a 1:1250 location plan, both produced for the same site at the same time. Buying them as a pack gives you the close-up site detail and the wider street context in a single, council-ready set of drawings.

Each plan in the pack is generated from the official OS MasterMap® Topography Layer, carries the Ordnance Survey licence number, scale bar, north arrow and grid references, and is supplied as a digital file ready to upload to the Planning Portal, your local authority's submission system, HM Land Registry or Registers of Scotland.

Order online and your two plans are emailed to you within around 20 minutes, seven days a week.

1:500 Block Plan Close-up site detail at 1 cm = 5 m
+
1:1250 Location Plan Wider context at 1 cm = 12.5 m

Why Buy a Planning Pack?

A planning application normally needs two different scales of map: a location plan that shows the site against its surroundings, and a block plan that zooms in on the development itself. Ordering both as a planning pack saves you time, keeps the two drawings perfectly aligned to the same centre point, and works out cheaper than buying each plan on its own.

Two Scales, One Site

Both maps are centred on the same coordinate so the block plan zooms straight into the area shown on the location plan. There is no manual lining-up to do, and the planning officer sees exactly the same site in both views.

Saves Time at Checkout

You search once, choose your settings once and pay once. No need to repeat the order journey for each scale. Both files arrive together so you can move straight to mark-up and submission.

Works Out Cheaper

Bought as a pack, the combined price is lower than ordering a 1:500 and a 1:1250 separately. Useful when you are preparing a full planning application and need both scales anyway.

Council-Ready Format

Each plan in the pack is produced to UK local-authority standards, with an OS-licensed base, scale bar, north arrow and grid references already in place. Upload-ready for the Planning Portal and council validation systems.

When Do You Need an OS 1:500 and 1:1250 Planning Pack?

The pack covers the two scales asked for again and again across the UK planning system. Whether you are putting up a single house extension, building a small block of flats or applying for change of use on a commercial unit, this combination of drawings is what most validation checklists ask for as the minimum set of supporting maps.

Full Planning Applications

The standard pack for outline and full planning permission submissions. The 1:1250 sets the wider site context and the 1:500 gives the council the close-up view of the proposed building, driveway, garden or extension.

Building Warrants & Building Control

Scottish building warrant applications and English building regulations submissions both ask for a location plan plus a more detailed block plan. The pack delivers both at the scales most commonly accepted.

Change of Use Applications

When converting a property between residential, commercial or mixed use, councils want to see both the surrounding land use (1:1250) and the building itself in detail (1:500). Both scales arrive as a single pack.

Land Registry Submissions

HM Land Registry and Registers of Scotland accept the 1:1250 as the standard urban site plan, with the 1:500 useful as a supporting drawing where extra clarity on the building footprint or boundary edge is needed.

Home Buyer & Conveyancing Packs

Solicitors and conveyancers often request both scales for a complete property pack. The 1:1250 places the property in context, while the 1:500 records the building footprint and immediate boundary detail.

Section 80 Demolition Notices

Demolition notices submitted under the Building Act 1984 are usually backed by a location plan and a block plan. The pack is a quick way to file both at the scales building control teams expect.

Sourced Direct from Ordnance Survey

UKMapCentre.com operates as a Premium Licensed Partner of Ordnance Survey, which means every plan in your planning pack carries a current, correctly attributed OS licence. Both the 1:500 block plan and the 1:1250 location plan are ready-to-submit for Planning Portal uploads, council validation, building warrant submissions, Land Registry and Registers of Scotland registrations and any commercial use where OS-licensed mapping is required.

Further Reading

Short blog guides to help you make sense of the planning paperwork and get the most out of your planning pack:

About UK Map Centre LLP

UKMapCentre.com is a sustaining member of QGIS
QGIS Supporter
UKMapCentre.com is a member of The Association for Geographic Information
AGI Member
UKMapCentre.com is a member of Scottish Land and Estates
Scottish Land & Estates

Alternative Products

1:1250 Location Plan only 1:500 Block Plan only 1:2500 Rural Location Plan CAD Users: DWG | DXF Format GIS Users: GML | GeoPackage | GeoTIFF